黑海海底发现的地下河是迄今为止发现的唯一活跃的地下河,是从地中海流经柏斯普鲁斯海峡进入黑海(盐量较低)溢出的高盐水。同时这条地下河也是世界上第六大河。

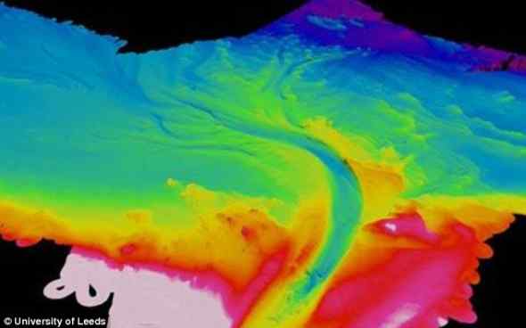
这条使用伪色进行3D扫描的河流沿黑海河床流淌。

这条河是泰晤士河的350倍大,有河道、急流和瀑布。

这条海底之河从土耳其的柏斯普鲁斯流出。
新浪科技讯 北京时间8月3日消息,据国外媒体报道,英国科学家在黑海海底发现了让泰晤士河相形见绌的一条大河。与地面上的河流一样,这些海底河流也有河道、支流、洪区、急流甚至瀑布。一条在黑海海底发现的河流局部区域深115英尺(35米),宽半英里(804米)之多。
科学家估计,就河流水量而言,如果是在陆地上,这条目前为止尚未命名的河应该是世界上第六大河。使用遥控潜水艇扫描土耳其附近海底的利兹大学研究人员指出,这条河是泰晤士河的350倍大,携带高浓度盐水和沉积物。它是迄今为止发现的唯一活跃的地下河,是从地中海流经柏斯普鲁斯海峡进入黑海(盐量较低)溢出的高盐水。这使得来自地中海的这一高密度水像河一样沿海床流淌,形成河道和深堤。
虽然深海的营养物质丰富程度远不及接近陆地的海水,但这一发现可能有助于解释生命在深海存活的方式,因为这些河流携带沉积物和营养物质。利兹大学地球和环境学院研究组的负责人丹·帕森斯博士表示:“这些水道中水的密度比周围海水的密度大,因为它的盐度较高且携带较多沉积物。和陆地上的河一样,它顺着陆缘海流淌,形成类似陆地上河流一样的深海平原。”
海洋的深海平原有如海底荒漠,但是,这些水道可输送在这些荒漠中维持生命所必需的营养物质和其他成分。帕森斯说:“这表明它们可能非常重要,就像为深海注入生命的动脉。我们发现,这些河与陆地河流之间的重要区别在于水流漩涡,水的旋流方向与陆地上的河流相反。”
因为一些扫描显示,很多世界海洋中存在蜿蜒的水道,科学家早已怀疑可能存在海底河流。但是,之前一直未发现这些海底河流。 这些河道中最大的河道要数巴西海岸河道,亚马逊河从这里流入大西洋。大多数人相信这些河道是在海平面相当低的时候形成,而且这些河道长达2500英里 (4023公里),宽数英里。黑海河道虽然较小,但它是发现的唯一仍在流淌的河道,而且还证明了这些神秘河道是由水下河流形成。
海底河道与海洋沟渠不同,后者是构造板块的运动在海洋最深处形成的地质结构,前者像陆地上的河流一样蜿蜒而流,并以侵蚀河道底部淤泥的同样方式形成河堤。帕森斯博士发现,黑海河的流速为每小时4英里(6公里),每秒有22000立方米的水流经该河道,是欧洲最大河莱茵河的10倍之大。在到达陆缘海边缘并流入深海之前,黑海河仅长约37英里(约60公里)。帕森斯博士表示,研究数据还将对在这些河流存在区域寻找钻探地点的石油公司很重要。(秋凌)













发表评论:
◎欢迎参与讨论,请在这里发表您的提问或看法,交流您的观点。